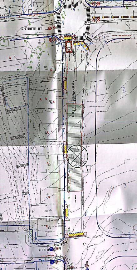
לאור ביצוע עבודות להנחת קו ניקוז ברח' ז'בוטינסקי ברובע א', תתבצע חסימה לשני הכיוונים במקטע שבין צומת ההסתדרות לצומת הראשונים. העבודות יבוצעו במהלך הלילה ולא תתאפשר כניסה לדיירים.
מינהל ההנדסה מודיע כי ביום שני הקרוב (5/8), התקיימו עבודות להנחת קו ניקוז ברח' ז'בוטינסקי ע"י חברת גלנור בינוי ופיתוח בע"מ. העבודות יבוצעו בשעות הלילה שבין ה-5/8 ל-6/8, בין השעות 23:00 ל-06:00 בבוקר שלמחרת.
במהלך העבודה תתבצע חסימה בשני הכיוונים של רח' ז'בוטינסקי, במקטע שבין צומת ההסתדרות ועד לצומת הראשונים, ולא תתאפשר כניסה לדיירי הבניינים במקום.
◼️ לקבוצת חדשות אשדוד בווטסאפ לחצו כאן
◼️ לקבוצת חדשות בווטסאפ – חדשות מהארץ/מהעולם/משפט/עורכי דין/פלילי לחצו כאן
◼️לקבוצת חדשות בווטסאפ – מלחמה בישראל חרבות ברזל לחצו כאן
◼️ לרשימת קבוצות הווטסאפ השוות שכדאי לכם להצטרף אליהן – לחצו כאן









